
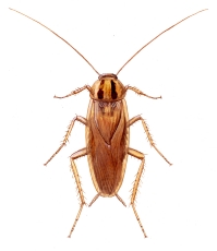
Tysk kakerlakk (Blattella germanica)
Utseende:
- Flattrykte, lange antenner og bein
- Vinger halvgjennomsiktige
- Gulbrun, halsskjold med to svarte, langsgående striper
- 10-16 mm
- Kan forveksles med markkakerlakk og brunbeltetkakerlakk
Biologi, atferd og skade:
Meget vanlig over hele Norge, kun innendørs. Nattaktiv. Foretrekker varme, fuktige, mørke steder om dagen. I næringsmiddelindustri, storkjøkken, hoteller, private hjem, på båter etc.
Skade: Forurenser matvarer og oppleves ubehagelig. I spesielle situasjoner kan kakerlakker forårsake materielle skader ved gnaging. Kan overføre sykdomsfremkallende organismer til ferskvarer. Kan gi allergiske reaksjoner hos enkelte personer.
Bekjemping:
- Kjemisk bekjempelse ved bruk av sprøyte eller åte
- Limfeller kan brukes aktivt i kombinasjon med kjemisk bekjempelse
- Støvsuging for å fjerne levende og døde individer
- Biologisk bekjempning hvis forholdene tilsier det
- Varme- og kuldebehandling kan benyttes i spesielle situasjoner
Kakerlakkproblemer forebygges ved godt renhold, gode rutiner for behandling av matavfall og ved redusert vanntilgang for kakerlakkene.
Nasjonalt folkehelseinstitutt
Felthåndbok

Amerikansk kakerlakk (Periplaneta americana)
Utseende:
- Flattrykte, lange antenner og bein
- Ensfarget rødbrun/svartbrun, halvgjennomsiktige vinger
- Lysere partier på halsskjoldet
- Stor, opptil 44 mm
Biologi, atferd og skade:
Lever kun innendørs. Nattaktiv. Sjelden i Norge, kan etablere seg i visse miljøer der det er mye varme og god tilgang på mat, men neppe i private husholdninger. En liknende art er Australsk kakerlakk (Periplaneta australasiae) som kjennetegnes på gule sidekanter på fremre del av vingene.
Skade: Forurenser matvarer og oppleves ubehagelig. I spesielle situasjoner kan kakerlakker forårsake materielle skader ved gnaging. Kan overføre sykdomsfremkallende organismer til ferskvarer. Kan gi allergiske reaksjoner hos enkelte personer.
Bekjemping:
- Kjemisk bekjempelse ved bruk av sprøyte eller åte
- Limfeller kan brukes aktivt i kombinasjon med kjemisk bekjempelse
- Støvsuging for å fjerne levende og døde individer, samt eggkapsler
- Biologisk bekjempning hvis forholdene tilsier det
- Varme- og kuldebehandling kan benyttes i spesielle situasjoner
Kakerlakkproblemer forebygges ved godt renhold, gode rutiner for behandling av matavfall og ved redusert vanntilgang for kakerlakkene.
Nasjonalt folkehelseinstitutt
Felthåndbok

Brunbeltet kakerlakk (Supella longipalpa)
Utseende:
- Flattrykte, lange antenner og bein
- Vinger halvgjennomsiktige
- Gulbrun, rødbrune bånd på tvers av bakkroppen
- 10-14 mm
- Kan forveksles med tysk kakerlakk og markkakerlakk
Biologi, atferd og skade:
Kun innendørs. Nattaktiv. Lever tørrere enn tysk kakerlakk, og finnes ofte høyt oppe under taklister. Lang klekketid på eggkapsel (45-75 dager). I næringsmiddelindustri, storkjøkken, private hjem, på båter etc.
Skade: Forurenser matvarer og oppleves ubehagelig. I spesielle situasjoner kan kakerlakker forårsake materielle skader ved gnaging. Kan overføre sykdomsfremkallende organismer til ferskvarer. Kan gi allergiske reaksjoner hos enkelte personer.
Bekjemping:
- Kjemisk bekjempelse ved bruk av sprøyte eller åte
- Limfeller kan brukes aktivt i kombinasjon med kjemisk bekjempelse
- Støvsuging for å fjerne levende og døde individer, samt eggkapsler
- Biologisk bekjempning hvis forholdene tilsier det
- Varme- og kuldebehandling kan benyttes i spesielle situasjoner
Kakerlakkproblemer forebygges ved godt renhold, gode rutiner for behandling av matavfall og ved redusert vanntilgang for kakerlakkene.
Nasjonalt folkehelseinstitutt
Felthåndbok

Markkakerlakk (Ectobius lapponicus)
Utseende:
- Flattrykte, lange antenner og bein
- Vinger halvgjennomsiktige med mørke flekker
- Gulbrun
- Halsskjoldet med en mørke flekker
- 8-13 mm
- Kan forveksles med tysk kakerlakk og brunbeltet kakerlakk
Biologi, atferd og skade:
Meget vanlig over hele Norge, helt opp til tregrensen. Formerer seg kun utendørs, men forviller seg ofte inn i hus. Dagaktiv. Kan ikke formere seg innendørs, og ingen bekjempelse skal foregå.
Skade: Gjør ingen skade.
Bekjemping:
- Bekjempning er unødvendig og skal ikke forekomme
- Enkeltindivider som har forvillet seg inn kan støvsuges, eventuelt fanges og slippes ut igjen
Nasjonalt folkehelseinstitutt
Felthåndbok
